Terrain et terre à vendre Baie-Saint-Paul - sp889
info_outlineDescription
Description
Bordé par le fleuve St-Laurent. Très beau, grand terrain à proximité du centre ville de Baie St-Paul. Installez vous confortablement et contemplez la beauté des paysages de ce secteur hors du commun. La campagne en ville. Profitez de la tranquillité du site et des sentiers pédestres pratiquement dans votre cour. La propriété pourrait être subdivisée en 2 lots. La construction d'une maison nécessitera une autorisation du ministère de l'environnement. Incomparable.
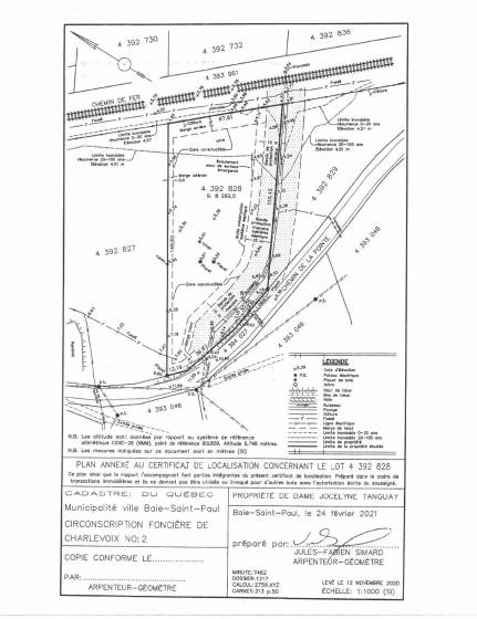
Le vendeur ne fournira que le certificat de localisation du lot #4392828, aucun autre plan ne sera fourni par le vendeur.
Type de propriété
- Type :
- Terrain et terre
- Année de construction :
- 0
- Chambres :
- 0
- Salles de bain :
- 0
- Salles d'eau :
- 0
Bâtiment
- Façade :
- 0.00
- Profondeur :
- 0.00
- Forme irrégulière :
- Non
Inclusions
- Le vendeur ne fournira que le certificat de localisation du lot #4392828, aucun autre plan ne sera fourni par le vendeur.
Terrain
- Façade :
- 0.00
- Profondeur :
- 0.00
- Superficie :
- 42565.60 Mètres carrés
- Forme irrégulière :
- Non
placeVoir sur la carte
Affichage sur la carte
emailDemande d'informations
Si vous avez déjà communiqué avec un autre courtier que celui proposé, nous vous demandons de le sélectionner.
- AA :
- Courtier immobilier résidentiel et commercial agréé
- AF :
- Courtier immobilier résidentiel et commercial
- CRES :
- Courtier immobilier résidentiel
En complétant les champs de ce formulaire, vous consentez à transmettre vos informations pour des fins de suivi selon les dispositions de nos Conditions d'utilisation et politique de confidentialité.
Vous n'avez pas trouvé ?
Communiquez
avec nous!
Jean Dubuc
Courtier immobilier résidentiel et commercial
418 240-0758















